Pest megye, Tinnye


 

Ingatlan adatai

Irányár: 94 900 000 Ft
Típus: ház
Kategória: eladó
Alapterület: 98 m2
Fűtés: -
Állapota: új
Szobák száma: 4+1
Építés éve: 2025
Szintek száma: -
Telekterület: 1 506 m2
Kert mérete: 1 506 m2
Erkély mérete: -
Felszereltség: -
Parkolás: -
Kilátás: panorámás
Egyéb extrák:  
-

Részletes leírás

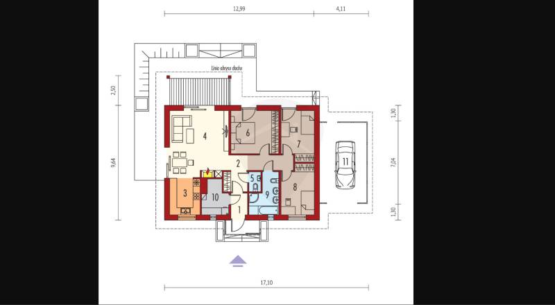
LETISZTULT ELEGANCIA A TERMÉSZET ÖLELÉSÉBEN – prémium családi otthon Tinnye Királyvölgyi lakóparkjábanTinnye egyik legkeresettebb, mégis nyugodt részén, a festői Királyvölgyi lakóparkban kínálunk eladásra egy kivételes adottságú, új építésű családi házat, amely a természet közelségét ötvözi a modern otthonok minden kényelmével. Az ingatlan tökéletes választás családok számára, de hosszú távú befektetésként is ideális.Elhelyezkedés – természetközeli otthon, Budapesttől csupán 30 percreA lakópark Tinnye dombos, zöldövezeti részén helyezkedik el, csodálatos panorámával a Pilis, a Budai-hegység és a Gerecse vonulataira. A friss levegő, az erdők közelsége és a csendes környezet valódi kikapcsolódást és biztonságot nyújt az itt élőknek. A település infrastruktúrája kiemelkedő: óvoda, iskola, bolt, orvosi rendelő helyben elérhetők, míg a főváros gyorsan megközelíthető autóval vagy vonattal.A közeli Garancsi-tó, az ikonikus Üvegtigris, valamint a kiránduló- és kerékpáros útvonalak egyaránt hozzájárulnak a környék aktív életstílusához.Ingatlanjellemzők – a harmónia és funkcionalitás jegyébenTelek mérete: 1506 m²Beépíthetőség: 15%Szintterületi mutató: 0,4Építménymagasság: max. 6 méterKözművek: víz, villany, gáz, csatorna – telken belülJogi helyzet: tehermentes, azonnal birtokba vehetőA kiváló elrendezésű 97,89 m²-es lakótér világos, jól használható helyiségeket biztosít, amelyek ideálisak a családi mindennapokhoz.Helyiségek részletesen:Előszoba – 2,55 m²Folyosó – 10,31 m²Konyha – 7,77 m²Nappali + Étkező – 27,07 m²WC – 1,61 m²Hálószoba 1 – 14,19 m²Hálószoba 2 – 11,01 m²Hálószoba 3 – 11,01 m²Fürdőszoba – 6,94 m²Tároló / Háztartási helyiség – 5,43 m²Parkoló – 25,14 m² (külön, burkolt beálló)Műszaki felszereltség – jövőálló, energiahatékony megoldásokkalPorotherm 30 N+F téglafalazat, válaszfalak: 10 N+FÁcsolt fa födém, gomba- és lángmentes kezeléssel10 cm AT-N100 lépésálló hőszigetelés3 rétegű, 7 kamrás hőszigetelt nyílászárókPadlófűtés a teljes lakótérbenKlímaberendezés hűtésre-fűtésrePrémium burkolatok, modern beltéri ajtókOkosotthon rendszer előkészítveTeljes víz- és elektromos hálózat kiépítveNapelem rendszer kialakításához támogatásÁrgarancia a kivitelezés teljes idejére (8–12 hónap)Egyedi igények alapján testre szabható kivitelMegbízható beruházás – támogatással is elérhetőAz ingatlan CSOK Plusz-kompatibilis, így fiatal családok számára is elérhető. A gyorsan fejlődő térségben az ingatlanpiaci érték folyamatosan emelkedik, így az otthonvásárlás itt kimagasló befektetésnek is tekinthető.Ez több, mint egy ház – ez egy életstílusEz az otthon azok számára készült, akik nem kötnek kompromisszumot: akik egyszerre vágynak természetközeli környezetre, modern technológiai megoldásokra és prémium anyaghasználatra. Egy hely, ahol a gyerekek biztonságban játszhatnak a kertben, a szülők pedig nyugodtan pihenhetnek a teraszon vagy a közeli erdők egyikén kirándulva.További részletes műszaki dokumentációért, személyre szabott ajánlatért és helyszíni egyeztetésért keressen bizalommal!

Hirdető adatai

Hirdető neve: Rock Home
Kapcsolattartó: Balogh Csaba
Hirdető telefonszáma: +36 70 412 5733
Honlap: -