Pest megye, Verőce


 

Ingatlan adatai

Irányár: 50 000 000 Ft
Típus: ház
Kategória: eladó
Alapterület: 28 m2
Fűtés: gáz (konvektor)
Állapota: -
Szobák száma: 2
Építés éve: 1990
Szintek száma: -
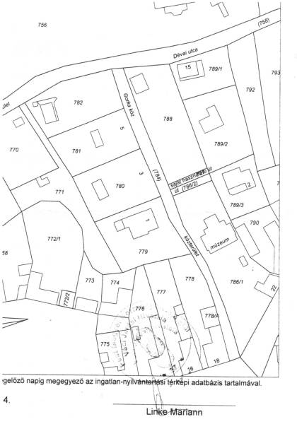
Telekterület: 851 m2
Kert mérete: 851 m2
Erkély mérete: 10 m2
Felszereltség: -
Parkolás: -
Kilátás: -
Egyéb extrák:  
-

Részletes leírás

Alap adatok:- 1743 nm telekterület.- Két helyrajzi szám. ( 892+851 nm)- 2016-ban épült 3 szintes panorámás luxus családi ház, 4 lakószobával, panorámás nappalival,342 nm hasznos alapterülettel.- 60 nm-es panorámás terasz.- 4 autó részére garázs elektromos töltőfejekkel.- 6 autó részére gépkocsi beálló.- Fedett úszómedence,- 6 Kw szaldós napelem rendszer.- Hőszivattyús, elektromos, gáz és vegyes tüzelésű fűtés ki van alakítva és igény szerint kombinálható.- A világ legbarátságosabb full panorámás nyári konyhája tetővel, pultokkal raktárhelyiségekkel.- Elvehetetlen panoráma a Dunakanyarra- Egy 28 nm-es két szobás vendégház a másik helyrajzi számú telken.Verőce kis település a Duna bal partján 4160 lakossal. Budapest belvárosától a távolság 36 km légvonalban. 52 km közúton, mely gépkocsival kb. 1 óra. Vonattal Budapest Nyugati Pályaudvarról Verőce vasútállomásig Z70-es zónázó vonattal 31 perc.A telkek a település központjától 50 méterre, a vasútállomástól 200 méterre, a Duna partján lévő sétánytól 250 méterre, a kezdődő domboldalon helyezkednek el. Teraszos kialakítással különülnek el egymástól. Az alsó telek talajfeltöltésének köszönhetően mindkét ingatlan kertjéből örök panoráma nyílik a Dunakanyarra és a szemközti Pilis hegyvonulatára.Két telek, két helyrajzi szám, két utcai kapu, két külön közmű bekötés. Dologösszességben akarjuk értékesíteni a két telket.Az alsó telek 892 nm-es, a feltöltésnek köszönhető nagyrészt sík területekkel rendelkezik, rajta 3 szintes, szintenként 100 nm alapterületű családi házzal, melynek építését 2015 ben kezdték, a használatba vételi engedélyét 2019-ben adták ki.A földszinten a fűtött garázsfeljárón keresztül egy sík gépkocsibeálló mögött közel 60 nm -es, négy gépkocsi tárolására alkalmas garázs helyezkedik el, benne elektromos autók gyorstöltésére alkalmas fejegységgel. Mögötte 15 nm-es bortároló található. A földszinti folyosóról nyílik egy 10 nm-es helyiség, ahol a szauna előkészítés és egy zuhanyzó kap helyet. A szauna ezidáig nem került beépítésre, jelenleg raktárként funkcionál. A földszinten még egy különálló wc is ki lett a alakítva, ami az előszobából nyílik.Az első emeletre lépcsősor vezet, ahol egy 5.5 méteres belmagassággal rendelkező, hatalmas üvegablakokkal a Dunakanyarra panorámás nappali szoba található, ahonnan a szintén Dunai panorámás, közel 60 nm alapterületű teraszra juthatunk ki. A terasszal egy szintben van a gondozott pázsitos kert, ami egy támfallal különül el az alatta lévő telektől, a rajta lévő ház fölé emelve azt. A kertből szintén korlátlan a panoráma.A nappali szobából nyíló konyha és kamra a földszint és az első emeleti előkert közti rézsűs virágoskertre néző ablakokkal rendelkezik. Az első emeleti nappaliból nyílik az a háztartási helység, ahol a mosógépek és az épület gázcirkóval valamint hőszivattyúval kombinált fűtés és meleg víz rendszerének gépészete található.A nappaliból nyílik a szülői háló, melynek saját fürdőszobájában pezsgőfürdős kád, dupla mosdókagyló és wc kap helyet.Az első emeleti terasz és kert szintjén található az épület mellett jobb oldalt elterülő telekrész, ahol egy fedett kültéri konyha, és a hozzá tartozó 15 nm-es külső tároló kap helyet. Az oldalfalak nélküli konyhából elvehetetlen panoráma nyílik a Dunára és a környező hegyekre. A külső konyha hátsó oldalfalát a mellette lévő telek szinteltolását tartó támfal adja. A külső konyha tetőszerkezetén találhatóak az a napelem rendszer, mely a szaldós áram visszatáplálási rendszer gerincét alkotja.Az épület első emeletének szintjén a ház mögötti kertrészen van kialakítva az a csúsztatható boltíves polikarbonát tetővel ellátott kültéri medence, mely ellenáramoltatóval, fűtő berendezéssel és nagy teljesítményű vízforgató és homok alapú szűrőberendezéssel van ellátva. A medence melletti kültéri zuhanyzó alatt található a medence gépészeti egysége, míg a belépő vízrendszer központja a medence melletti tároló épületben helyezkedik el. A medence mellől indul az a széles lépcsősor, mely a fölötte lévő telekre vezet, mely ettől a szinttől egy támfallal különül el.A ház harmadik szintjén a nappalival egy légtérben, onnan a nappali ablakain keresztül a Dunakanyarra panorámás felső galéria kap helyet, ahonnan a harmadik szint három lakószobája érhető el. A ház jobb felében lévő két különálló szobához egy zuhanyzós fürdőszoba tartozik, míg a ház bal oldali részén lévő nagyobb hálószoba önálló zuhanyzós fürdőszobával rendelkezik.Az épület elektromos redőnyökkel szerelt. A fűtést és a meleg víz ellátást gáz cirkó és hőcserélős fűtőberendezés kombinált használatával lehet megoldani, mely lehetőséget biztosít arra, hogy az éves gázhasználatot a támogatott lakossági mennyiség alatt lehessen tartani. A szaldós napelem rendszernek köszönhetően elektromos gépjárművek töltése és a hőcserélős fűtési rendszer üzemeltetése mellett is a lakossági támogatott szint határértéke alatt tudják tartani a fogyasztást a jelenlegi tulajdonosok.A felső 851 nm-es, enyhén emelkedő telek. Rajta 28 nm alapterületű két hálószobás, zuhanyzós fürdőszobával, wc-vel és külső tárolóval ellátott vendégház áll, mely jelenleg irodaként funkcionál. Fűtése gáz konvektor és elektromos padlófűtés, de újonnan épült vegyes tüzelésű kémény már rendelkezésre áll, akár kályhának akár kandallónak. A telek ősfás, egyik részén gondozott, futtatott szőlőtőkékkel. Az alatta lévő telektől egy támfal választja el, melyben beépített terméskő lépcső biztosítja az átjárást. A két ingatlan áramhálózati központja ezen a telken található. A belépő légvezeték a telken belüli villanypóznán elhelyezett szaldós, napelemes visszatáplálást fogadó 3x32 amperes biztosítékokkal ellátott villanyórához van közvetlenül bekötve, onnan földkábelen látja el mindkét telken lévő házat.

Hirdető adatai

Hirdető neve: Otthon Centrum
Kapcsolattartó: Balassai Imre
Hirdető telefonszáma: +36 70 388 5806
Honlap: -